Clima de hoy, huracán Erin se intensifica a huracán categoría 2
Se esperan lluvias y chubascos (5 a 25 mm en 24 h) en Ciudad de México. La temperatura mínima en Ciudad de México será de 12 a 14 °C.


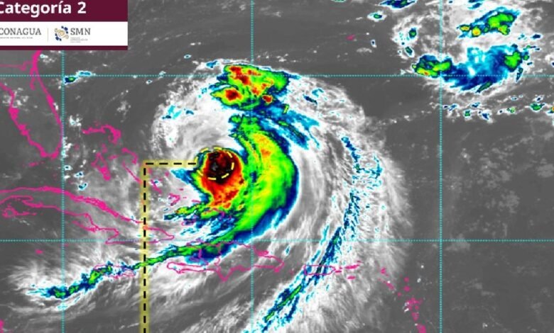
Hace unas horas Erin era una solo una tormenta tropical, ahora ha evolucionado a huracán de categoría 2 en la escala Saffir-Simpson. Debido a su distancia y desplazamiento no representa peligro para costas nacionales.
Su centro se localiza a 1,070 km al suroeste de Bermudas y a 1,560 km al este-noreste de Cancún, Quintana Roo; tiene vientos máximos sostenidos de 175 km/h, rachas de 215 km/h.
Para hoy, el monzón mexicano en interacción con inestabilidad atmosférica, ocasionará lluvias puntuales muy fuertes en Sinaloa, Sonora y Chihuahua; puntuales fuertes en Nayarit y Durango; y lluvias con intervalos de chubascos en Baja California Sur, todas con descargas eléctricas.
Por su parte, un canal de baja presión sobre la Mesa del Norte y la Mesa Central, en interacción con el ingreso de aire húmedo del golfo de México y con inestabilidad atmosférica, generarán lluvias puntuales intensas en Oaxaca; puntuales muy fuertes en Veracruz y Guerrero y Michoacán.
Así como puntuales fuertes en Puebla, Morelos y Estado de México; chubascos en San Luis Potosí, Tlaxcala y Ciudad de México; y lluvias aisladas en zonas de Hidalgo, Querétaro, Guanajuato y Zacatecas.
Se prevén lluvias puntuales intensas en Chiapas y puntuales fuertes en Campeche y Tabasco, debido a un canal de baja presión y la entrada de aire húmedo del mar Caribe en el sureste mexicano.
La onda tropical núm. 23 frente a las costas de Michoacán, se desplazará hacia el oeste y ocasionará lluvias puntuales muy fuertes en Michoacán y puntuales fuertes en Jalisco y Colima.
La nueva onda tropical núm. 24 que ingresará a la península de Yucatán y una vaguada en niveles medios que se localizará frente a las costas de Quintana Roo, propiciarán lluvias muy fuertes con descargas eléctricas en Quintana Roo y Yucatán.
Una circulación ciclónica en altura se desplazará sobre el noreste mexicano, por lo que se prevén lluvias puntuales fuertes con descargas eléctricas y posible caída de granizo en Tamaulipas, Nuevo León y Coahuila.
Finalmente, continuará el ambiente cálido a caluroso por la tarde en la mayor parte de la República Mexicana, y muy caluroso en zonas de los estados fronterizos del norte y noreste de México, llegando a ser extremadamente caluroso con temperaturas máximas superiores a los 45 °C en el noreste de Baja California.
TAMBIÉN TE PUEDE INTERESAR:
El clima para este martes por regiones
Valle de México: Por la mañana, cielo despejado a medio nublado; bancos de niebla o neblina en zonas altas y ambiente fresco, siendo frío en sierras de la región y con temperaturas mínimas menores a 5 °C en zonas montañosas del Estado de México.
Durante la tarde, ambiente cálido, siendo templado en zonas altas; cielo medio nublado a nublado con probabilidad de chubascos con lluvias puntuales fuertes (25 a 50 mm en 24 h) en Estado de México.
Están acompañadas con descargas eléctricas y posible caída de granizo, las cuales podrían originar el incremento en los niveles de ríos y arroyos, deslaves, inundaciones, encharcamientos, fuertes rachas de viento y visibilidad reducida; además de lluvias y chubascos (5 a 25 mm en 24 h) en Ciudad de México.
La temperatura mínima en Ciudad de México será de 12 a 14 °C y la máxima de 25 a 27 °C. Para Toluca, Edo. Méx., se prevé temperatura mínima de 7 a 9 °C y máxima de 21 a 23 °C. Viento del este y noreste de 10 a 20 km/h en la región con rachas de 30 a 40 km/h en zonas de tormenta.
Península de Baja California: Por la mañana, cielo despejado a medio nublado; bancos de niebla en la costa occidental y el noreste de Baja California, así como en el noroeste de Baja California Sur; ambiente cálido a templado, siendo fresco a frío en sierras de la región.
Durante la tarde, ambiente caluroso, con temperaturas mayores a 35 °C en zonas de Baja California Sur, siendo muy caluroso a extremadamente caluroso en el noreste de Baja California; cielo medio nublado a nublado con intervalos de chubascos en Baja California Sur, así como cielo parcialmente nublado sin lluvia en Baja California.
Viento del noroeste de 20 a 30 km/h en la región, con rachas de 40 a 60 km/h en zonas de Baja California Sur y rachas de igual intensidad con posibles tolvaneras en zonas de Baja California.
Pacífico Norte: Por la mañana, bancos de niebla o neblina en zonas serranas de Sinaloa; cielo despejado a medio nublado y ambiente cálido, siendo templado en zonas serranas.
Durante la tarde, ambiente caluroso, siendo muy caluroso en el norte de Sinaloa y zonas de Sonora; cielo medio nublado a nublado, con lluvias puntuales muy fuertes, descargas eléctricas y posible caída de granizo en Sonora y Sinaloa.
Viento de dirección variable de 30 a 40 km/h en la región, con rachas de 50 a 70 km/h en el centro y sur de Sonora, así como en el norte de Sinaloa.
Pacífico Centro: Por la mañana, bancos de niebla o neblina en zonas altas de Nayarit, Jalisco y Michoacán; cielo despejado a medio nublado; ambiente templado a fresco, siendo frío en zonas altas de Jalisco, Colima y Michoacán, y cálido en la mayor parte de Colima, así como en el sur de Michoacán y en costas de la región.
Durante la tarde, ambiente cálido a caluroso, con temperaturas mayores a 35 °C en zonas de Nayarit, Jalisco y Michoacán.
Cielo medio nublado a nublado, con lluvias puntuales muy fuertes en Michoacán y puntuales fuertes en Nayarit, Jalisco y Colima, todas acompañadas con descargas eléctricas, y con posible caída de granizo en zonas altas de Nayarit, Jalisco y Michoacán.
Viento de dirección variable de 20 a 30 km/h en Jalisco con rachas de 40 a 60 km/h en su porción noreste; y viento de 10 a 20 km/h en el resto de la región con rachas de 30 a 40 km/h en zonas de Nayarit, Colima y Michoacán. Oleaje de 1.0 a 2.0 metros de altura en costas de Jalisco, Colima y Michoacán.
Pacífico Sur: En el transcurso del día, cielo medio nublado a nublado. Por la mañana, bancos de niebla o neblina en zonas serranas; ambiente templado a fresco, siendo frío en zonas serranas de Oaxaca, y cálido en el oeste de Guerrero, istmo de Tehuantepec y costas de la región.
Durante la tarde, ambiente cálido a caluroso, con temperaturas mayores a 35 °C en zonas de Guerrero, Oaxaca y Chiapas; lluvias puntuales intensas en el oeste de Oaxaca y Chiapas; y puntuales muy fuertes en Guerrero, todas acompañadas con descargas eléctricas, y con posible caída de granizo en zonas altas.
Viento de dirección variable de 20 a 30 km/h con rachas de 40 a 60 km/h en Chiapas y Oaxaca, con rachas de componente norte de igual intensidad en el istmo y golfo de Tehuantepec; así como viento de dirección variable de 10 a 20 km/h en Guerrero, con rachas de 30 a 40 km/h en su porción oeste. Oleaje de 1.0 a 2.0 metros de altura en costas de Guerrero, Oaxaca y Chiapas.
Golfo de México: Por la mañana, bancos de niebla o neblina en zonas altas; cielo despejado a medio nublado; ambiente cálido, siendo templado a fresco en sierras de la región, y frío en la zona montañosa de Veracruz.
Durante la tarde, ambiente caluroso, con temperaturas mayores a 35 °C en zonas de Veracruz y Tabasco, siendo muy caluroso en el oeste de Tamaulipas y cálido en la zona montañosa de Veracruz; cielo medio nublado a nublado con lluvias puntuales muy fuertes en Veracruz y puntuales fuertes en Tamaulipas y Tabasco, todas con descargas eléctricas, y con posible caída de granizo en zonas altas de Tamaulipas y Veracruz.
Viento de componente este de 20 a 30 km/h en la región, con rachas de 40 a 60 km/h en zonas de Tamaulipas, Veracruz y Tabasco.
Península de Yucatán: Por la mañana, cielo despejado a medio nublado y ambiente cálido. Durante la tarde, ambiente cálido a caluroso, con temperaturas mayores a 35 °C en zonas de Campeche, Yucatán y Quintana Roo.
Cielo medio nublado a nublado con lluvias puntuales muy fuertes en Yucatán y Quintana Roo, y puntuales fuertes en Campeche, acompañadas con descargas eléctricas, las cuales podrían originar inundaciones locales, encharcamientos y visibilidad reducida. Viento del noreste de 10 a 20 km/h en la región, con rachas de 30 a 40 km/h en el sureste de Campeche.
Mesa del Norte: Por la mañana, cielo despejado a medio nublado; ambiente templado a cálido en el noreste de Durango, centro y este de San Luis Potosí y en el norte de Chihuahua, Coahuila y Nuevo León, siendo fresco en el resto de la región, frío en zonas serranas y con temperaturas mínimas menores a 5 °C en zonas serranas de Durango.
Durante la tarde ambiente cálido a caluroso, con temperaturas mayores a 35 °C en zonas de Durango, sur de Zacatecas, y centro y sur de San Luis Potosí; siendo muy caluroso en el noreste de Chihuahua y Coahuila, así como en el este de Nuevo León.
Cielo medio nublado a nublado con lluvias puntuales muy fuertes en Chihuahua y puntuales fuertes en Coahuila, Nuevo León y Durango, así como lluvias con intervalos de chubascos en San Luis Potosí, todas las lluvias con descargas eléctricas y posible caída de granizo, además de lluvias aisladas en zonas de Zacatecas.
Sin lluvia en Aguascalientes. Viento de dirección variable de 20 a 30 km/h en la región, con rachas de 40 a 60 km/h en zonas de Chihuahua, Coahuila, Nuevo León, Durango, Zacatecas, Aguascalientes y San Luis Potosí.
Mesa Central: Por la mañana, bancos de niebla o neblina en zonas altas, cielo despejado a medio nublado y ambiente fresco, siendo frío en sierras de la región y con temperaturas mínimas menores a 5 °C en zonas montañosas de Tlaxcala y Puebla.
Durante la tarde, ambiente cálido, siendo caluroso en la mayor parte de Morelos, así como en el sur y noreste de Guanajuato, con temperaturas mayores a 35 °C en el norte de Querétaro, noreste de Hidalgo, norte y suroeste de Puebla.
Lluvias con intervalos de chubascos en Tlaxcala, todas las lluvias con descargas eléctricas y con posible caída de granizo; además de lluvias aisladas en Guanajuato, Querétaro e Hidalgo. Viento del este y noreste de 20 a 30 km/h en la región, con rachas de 40 a 60 km/h en zonas de Guanajuato, Querétaro, Hidalgo y Puebla.





