Pronostican lluvias en diversos estados por tormenta “Nadine”


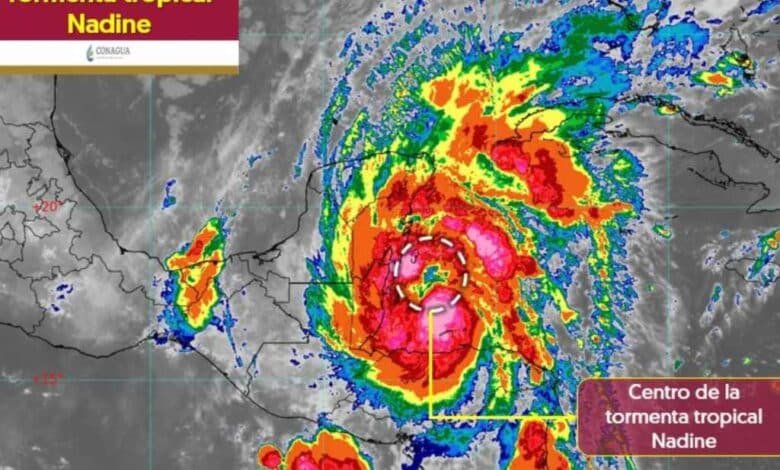
Durante las próximas horas de este sábado 19 de octubre, la tormenta tropical “Nadine”, en interacción con el sistema frontal número 4 mantendrá el temporal de lluvias torrenciales en regiones de Campeche, Chiapas, Oaxaca, Quintana Roo, Tabasco y Veracruz e intensas en zonas de Yucatán.
Además, se pronostican lluvias fuertes en localidades de Hidalgo, Puebla, San Luis Potosí y Tamaulipas; intervalos de chubascos en Coahuila, Estado de México, Guerrero, Michoacán, Morelos, Nuevo León, Querétaro y Zacatecas, y lluvias aisladas en Aguascalientes, Baja California Sur, Chihuahua, Ciudad de México, Colima, Durango, Guanajuato, Jalisco, Nayarit, Sinaloa, Sonora y Tlaxcala, debido al frente frío número 5 que se desplaza sobre el noroeste y norte de México.
Leer más: ¿Se acercan más huracanes? Medios advierten sobre el futuro climático de México en 2024
Por otro lado, durante la mañana, se esperan temperaturas mínimas de -5 a 0 grados Celsius (°C) con heladas en zonas montañosas de Baja California, Chihuahua, Durango, Estado de México, Hidalgo, Sonora y Tlaxcala, y de 0 a 5 °C en sierras de Aguascalientes, Ciudad de México, Coahuila, Guanajuato, Jalisco, Michoacán, Nuevo León, Oaxaca, Puebla, Querétaro, San Luis Potosí, Veracruz y Zacatecas.
Mientras que por la tarde se pronostican temperaturas máximas de 30 a 35 grados Celsius en Tamaulipas, Baja California Sur, Campeche, Chiapas, Colima, Guerrero, Jalisco, Michoacán, Nayarit, Oaxaca, Quintana Roo, Sinaloa, Sonora y Veracruz.
Clima en el Valle de México
Para el Valle de México, este sábado 19 de octubre se prevé ambiente de frío a fresco con bancos de niebla en zonas altas y ambiente templado hacia la tarde.
Leer más: Conagua advierte que más huracanes podrían impactar a México
Se espera cielo medio nublado durante el día y viento de 10 a 20 kilómetros por hora (km/h) con rachas de hasta 45 km/h.
En la Ciudad de México se estima una temperatura mínima de 10 a 12 grados y máxima de 23 a 25, y para Toluca, Estado de México, la mínima es de 5 a 7 grados Celsius y la máxima de 20 a 22 grados.




